Light in the Darkness: Christians Come to Rescue Hurricane Melissa Victims
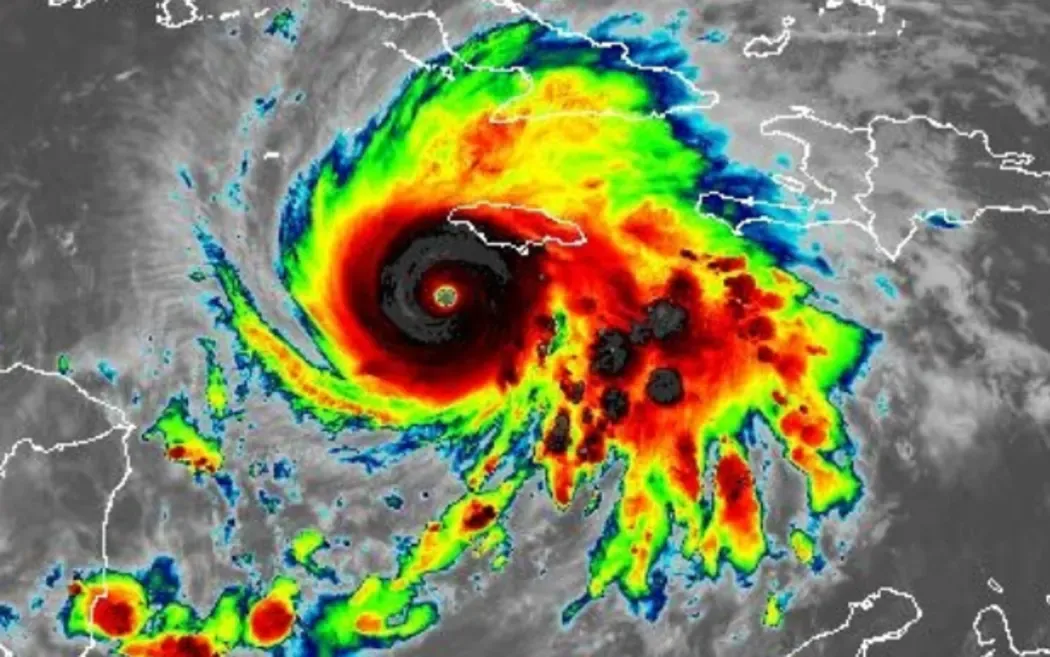
Recovery efforts are underway in the aftermath of Hurricane Melissa throughout the Caribbean. The Category 5 storm made landfall in Jamaica on October 28, 2025, with winds of 185 miles per hour, destroying homes, causing widespread power outages, and blocking roads throughout the region.
Government officials report that whole communities have been wiped out or isolated. The storm has been blamed for at least 67 deaths across Jamaica, Haiti, Cuba, and the Dominican Republic, with 32 fatalities confirmed in Jamaica alone.
CBN's Operation Blessing arrived in Montego Bay, Jamaica, on Wednesday evening after sundown, partnering with a local church to begin immediate relief efforts. The team began distributing solar lamps to families living in darkness.
Diego Traverso, Senior Director of Operation Blessing's Global Disaster Response, described the impact of bringing light to devastated communities.
"It looks crazy, but you know God is with us and this is a ray of hope for the families," Traverso said. "This is just the story of Operation Blessing. We show up in dark places, and people come attracted by the light. Such a metaphor of the Gospel."
Operation Blessing's Global Disaster Response team prepared critical supplies including portable water purification systems, emergency food supplies, clean water, hygiene kits, medical care, and solar lanterns.
The organization is working in partnership with local churches to distribute aid directly to affected communities.
At the height of the storm, 77% of homes and businesses in Jamaica were without power, with about 66% of customers remaining in the dark days after the hurricane passed. Approximately half of the nation's water systems were offline.
The devastation in Black River, which Jamaican government officials have described as Hurricane Melissa's "ground zero," left up to 90% of all structures without roofs. Prime Minister Andrew Holness declared the country a disaster area. More than 7,000 people remained in shelters as of Friday, with residents forming long lines at the few gas stations and supermarkets that remained open. Officials said they expected the death toll to continue rising as emergency teams reached isolated communities.
Operation Blessing packed disaster relief supplies including water, food, solar lamps, hygiene kits, chlorinators, and water purification units to make clean drinking water available to affected communities. Traverso explained the critical nature of clean water access in the aftermath of the storm. "Water is going to be critical; the different ways for them to get water is going to get polluted."
The organization's Global Disaster Response team reports it is "ready to bring food, clean water, hygiene supplies, and most importantly hope in Jesus' name" to the devastated region. In the coming days and weeks, the team will continue to distribute emergency food and supplies, clean water and water purification systems, and medical care to communities across Jamaica and surrounding islands affected by Hurricane Melissa.

THE CRUSADER'S OPINION
While the world scrolls past another disaster, Operation Blessing showed up with the light of Christ where darkness reigned. This is what Christian charity looks like in action: not bureaucratic delay, not political posturing, but boots on the ground bringing hope to broken people in Jesus' name.
Notice what happened. The moment Hurricane Melissa devastated Jamaica, Christians mobilized. Not to virtue signal on social media. Not to demand someone else do something. They packed supplies, booked flights, and showed up in the wreckage with solar lamps, clean water, and the Gospel. They partnered with local churches because that's how the Body of Christ works: unified, immediate, sacrificial.
This is our calling. When disaster strikes, the Church should be first in and last out. We serve a God who enters into suffering, and we are commanded to do the same. Operation Blessing's response reminds us that our faith must have hands and feet. The world needs to see Christians who don't just pray from a distance but roll up their sleeves and bring tangible hope.
Western Christians must wake up to our responsibility. We have resources, organization, and freedom that our brothers and sisters in devastated regions don't have. When natural disasters strike, our response reveals whether our faith is real or just comfortable religiosity. Operation Blessing got it right. They showed up. Will you?
TAKE ACTION
Operation Blessing Hurricane Relief https://www.ob.org/disaster-relief/
Email: info@ob.org
CBN Hurricane Relief Donations https://cbn.com/giving/hurricane-relief
Phone: 1-800-700-7000