Christian Organizations Deploy Massive Aid Operation as Hurricane Melissa Devastates Jamaica
Christian Relief Organizations Deploy Massive Aid Operation as Hurricane Melissa Devastates Jamaica
THE NEWS
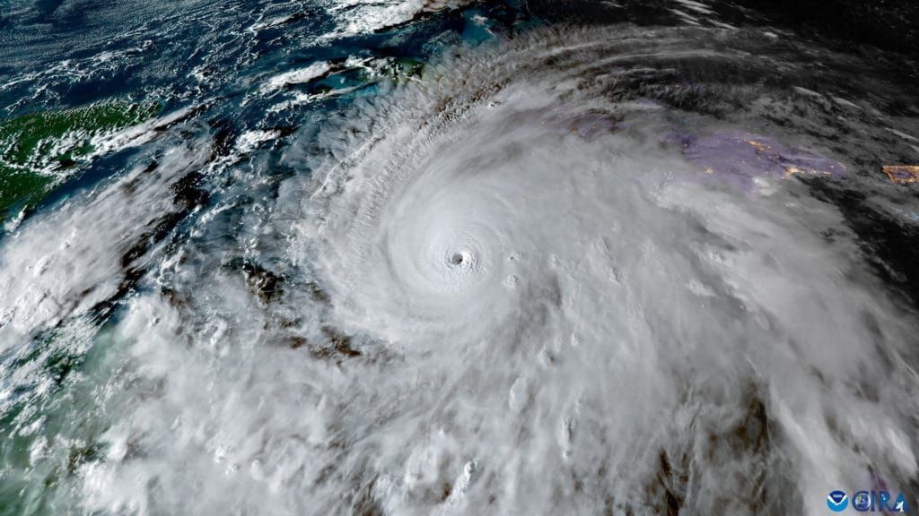
Kingston, Jamaica — Multiple Christian charity organizations are gearing up to deploy resources to Jamaica as the Caribbean island country faces the wrath of Hurricane Melissa, a Category 5 storm that made landfall on Tuesday with winds of up to 180 miles per hour.
Hurricane Melissa came ashore as a catastrophic Category 5 storm, one of the strongest Atlantic hurricanes on record, with 185 mph winds near New Hope. Heavy floodwaters swept across southwestern Jamaica, winds tore roofs off buildings and boulders tumbled onto roads. Landslides, fallen trees and numerous power outages were reported.
"There is no infrastructure in the region that can withstand a Category 5," Prime Minister Andrew Holness said. If Hurricane Melissa does make landfall as a Category 5 hurricane, recovery efforts will take "far more resources than Jamaica has to recover," Holness told CNN's Anderson Cooper Monday evening.
In a statement shared with The Christian Post on Monday, Convoy of Hope announced it is coordinating with local partners and contacts to send "truckloads of essential supplies" to support survivors in the days ahead, including food, clean drinking water, hygiene kits, baby care items, and other necessities.
"Convoy of Hope is actively mobilizing resources and team members to meet the needs of the people of Jamaica," said Convoy of Hope Spokesperson Ethan Forhetz. "This is a catastrophic storm, and so many people need our help. Convoy is committed to delivering hope to Jamaica as quickly as possible."
Forhetz added: "We're ready to help for the long haul. Our goal is to stand with communities not only in the days after disaster strikes, but through the years of recovery that follow."
The North Carolina-based Evangelical charity Samaritan's Purse announced Tuesday that it is "already preparing to respond as needed — with disaster relief specialists, materials, and aircraft all on standby." In addition to urging supporters to "be in prayer for all those in the path of this major storm," Samaritan's Purse vowed to "help meet urgent needs related to shelter, water, hygiene, food, and medical issues" and stressed its "ability to deploy our Emergency Field Hospital."
Operation Blessing, the humanitarian arm of the Christian Broadcasting Network, announced that it was "preparing to deploy to assist affected communities as soon as conditions allow safe travel." The services Operation Blessing plans to provide include portable water purification systems, solar lanterns, and hygiene supplies. It signaled an intention to partner with local churches to distribute food, water and medical aid.

Citing the National Hurricane Center, Convoy of Hope fears Hurricane Melissa will cause "severe infrastructure damage" that could cut off communities. The projected path of Hurricane Melissa shows that it could take several days before conditions are safe enough for relief organizations to deploy to the region.
Tuesday evening, officials huddled in meetings to determine how best to clear the debris after the storm and distribute emergency relief supplies to avoid bottlenecks at Jamaica's ports, said Richard Thompson, acting general director for Jamaica's emergency management office. Officials hope to reopen the island's airports by Thursday.
U.N. agencies and dozens of nonprofits had food, medicine and other essential supplies positioned as they awaited a distribution rush after the storm.

THE CRUSADER'S OPINION
While secular media obsesses over climate change politics, Christian relief organizations are doing what they always do: showing up with the love of Christ when disaster strikes.
Hurricane Melissa just obliterated Jamaica with 185 mph winds. No infrastructure can withstand that kind of force. Entire communities are cut off. Families are displaced. People are suffering. And before the storm even made landfall, Evangelical charities were already mobilizing aircraft, emergency field hospitals, water purification systems, and truckloads of supplies.
Samaritan's Purse, Convoy of Hope, Operation Blessing. These organizations don't issue press releases about how much they care. They deploy. They serve. They partner with local churches because they understand the body of Christ is already on the ground in Jamaica, and they know how to reach the suffering.
Notice the language: "We're ready to help for the long haul." Not photo-ops for the first week, then abandonment. Years of recovery. That's the Christian difference. The world offers temporary aid packages. Christians offer enduring hope rooted in the gospel.
The secular world will debate whether this hurricane proves their climate theories. Christians will be handing out food, purifying water, treating medical emergencies, and rebuilding homes. When governments fail and international organizations move slowly, the Church moves fast because we serve a God who commands us to love our neighbors.
Jamaica needs prayer. Jamaica needs resources. And the Church is answering the call. This is what Christians do. We show up when the world stops watching.
TAKE ACTION
Support Hurricane Melissa Relief Efforts:
- Samaritan's Purse - Deploying emergency field hospital and disaster relief teams
https://www.samaritanspurse.org
Email: info@samaritan.org
Phone: 1-800-528-1980 - Convoy of Hope - Sending essential supplies and long-term recovery support
https://www.convoyofhope.org
Email: info@convoyofhope.org
Phone: 1-417-823-8998 - Operation Blessing - Providing water purification, solar lanterns, and partnering with local churches
https://www.ob.org
Email: obinfo@ob.org
Phone: 1-800-730-2537 - World Vision - Coordinating with Caribbean partners for emergency relief
https://www.worldvision.org
Email: info@worldvision.org
Phone: 1-888-511-6548